Ngoài khơi Philippines xuất hiện siêu bão

Nguyễn Hoài, Theo tienphong.vn 20:51 12/04/2026
Chia sẻ

Cơn bão Sinlaku đang hoạt động trên khu vực Tây Bắc Thái Bình Dương, ngoài khơi xa của Philippines có khả năng mạnh lên thành siêu bão ngay trong đêm nay và ngày mai (13/4), trở thành siêu bão hiếm gặp tại khu vực này vào tháng 4.

Hình thành từ một áp thấp nhiệt đới ngoài khơi xa Philippines ngày 10/4, bão Sinlaku đã mạnh lên nhanh chóng. Tính đến 13 giờ chiều nay (12/4) bão có vị trí vào khoảng 10.3N 150.7E, cách Philippines gần 3000km, cường độ đạt cấp 15 (xấp xỉ cấp siêu bão), giật trên cấp 17.

Trung tâm Dự báo Khí tượng Thuỷ văn Quốc gia cho biết, theo phân tích từ số liệu vệ tinh, bão Sinlaku vẫn đang trong quá trình tăng cường độ nhanh, mắt bão rõ nét, vùng mây đối lưu phát triển mạnh và hoàn lưu đối xứng.

Các điều kiện môi trường trên vùng biển thuận lợi (nhiệt độ mặt nước biển cao, thông lượng nhiệt từ đại dương dồi dào, độ đứt gió tầng cao yếu) tạo điều kiện để bão tiếp tục mạnh lên nhanh trong 24 giờ tới.

Dự báo trong đêm 12/4 và ngày 13/4, bão Sinlaku sẽ di chuyển theo hướng Tây Bắc với tốc độ khoảng 15km/h và có khả năng mạnh lên thành siêu bão.

Đây sẽ là siêu bão đầu tiên hoạt động trên khu vực Tây Bắc Thái Bình Dương trong mùa bão năm nay và là một trong số rất ít cơn siêu bão xuất hiện ngay trong tháng 4.

Các cơ quan khí tượng nhận định, siêu bão Sinlaku có thể đạt cường độ mạnh nhất vào khoảng cấp 16-17, giật trên cấp 17.

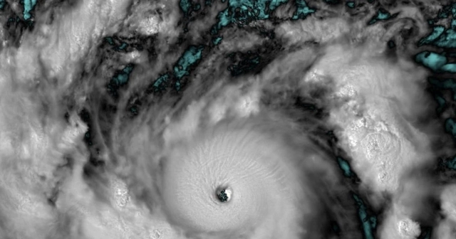
Ngoài khơi Philippines xuất hiện siêu bão- Ảnh 1.

Hình ảnh bão Sinlaku chụp từ vệ tinh chiều 12/4.

Về đường đi, sau khi mạnh lên thành siêu bão, Sinlaku sẽ đổi hướng di chuyển lên phía Bắc, sau đó nhiều khả năng tiếp tục đổi hướng một lần nữa thành hướng Bắc Đông Bắc. Khoảng ngày 16-17/4, bão di chuyển tới vùng biển phía Đông của Nhật Bản và cường độ sẽ giảm cấp dần.

Hiện tại các dự báo bão đều cho thấy bão sẽ không có khả năng đi vào khu vực Biển Đông. Trung tâm Dự báo khí tượng thủy văn vẫn đang theo dõi sát diễn biến của siêu bão đầu mùa này.

Theo ông Mai Văn Khiêm - Giám đốc Trung tâm Dự báo Khí tượng Thuỷ văn Quốc gia, năm nay số lượng bão có thể không nhiều như một số năm trước nhưng nguy cơ xuất hiện các cơn bão rất mạnh, bất thường khi nhiệt độ mặt biển cao.

Theo các dự báo hiện nay, từ tháng 4 - 7/2026, số lượng bão/áp thấp nhiệt đới hoạt động trên Biển Đông và ảnh hưởng đến nước ta được dự báo xấp xỉ trung bình nhiều năm.

Từ tháng 8 - 12/2026, số lượng bão có thể thấp hơn trung bình (trung bình nhiều năm trên Biển Đông khoảng 9,6 cơn, trong đó khoảng 3,8 cơn ảnh hưởng trực tiếp đến đất liền).

Về phạm vi ảnh hưởng, từ khoảng tháng 6 - 9/2026 bão có xu hướng tác động nhiều hơn đến khu vực Bắc Bộ, còn từ tháng 9 - 12/2026 trọng tâm có thể dịch xuống Trung Bộ và phía Nam.

Tuy nhiên, ông Khiêm lưu ý, trong điều kiện khí hậu hiện nay, quỹ đạo và thời điểm xuất hiện bão ngày càng khó dự báo chính xác, có thể xuất hiện các trường hợp bất thường, nhất là trong điều kiện El Nino cuối năm, nhiệt độ mặt biển cao có thể dẫn đến những cơn bão tăng cấp rất nhanh, cường độ rất mạnh.

Trước đó, Việt Nam trải qua năm 2025 với thiên tai vô cùng dị thường và khốc liệt. Biển Đông ghi nhận số lượng bão/áp thấp nhiệt đới kỷ lục khi có 21 cơn bão/áp thấp nhiệt đới (ATNĐ) hoạt động, trở thành năm có số lượng bão/ATNĐ hoạt động nhiều nhất kể từ khi có số liệu quan trắc (năm 1961), vượt qua kỷ lục thiết lập vào năm 2017.

Bên cạnh số lượng kỷ lục, mùa bão 2025 còn ghi nhận một số tính chất đặc biệt, bất thường và cực đoan như cơn bão số 1 (WUTIP) là cơn bão đầu tiên xuất hiện trên Biển Đông trong tháng 6 sau hơn 40 năm. Cơn bão số 9 (RAGASA) với cường độ mạnh cấp 17, giật trên cấp 17 đã trở thành cơn bão mạnh nhất từng hoạt động trên khu vực Biển Đông.

Lần đầu tiên ghi nhận một áp thấp nhiệt đới di chuyển ngược từ Ấn Độ Dương sang khu vực Tây Bắc Thái Bình Dương (trong quá khứ đã từng có áp thấp nhiệt đới hoặc bão đi từ Tây Thái Bình Dương sang Ấn Độ Dương, nhưng chiều ngược lại thì chưa từng ghi nhận).

Theo các chuyên gia, mùa bão năm 2025 phản ánh xu hướng thời tiết ngày càng cực đoan, khó lường do tác động của biến đổi khí hậu.

TIN CÙNG CHUYÊN MỤC
Xem theo ngày