Siêu bão Sinlaku đang mạnh nhất thế giới năm 2026

Nguyễn Hoài, Theo tienphong.vn 22:18 12/04/2026
Chia sẻ

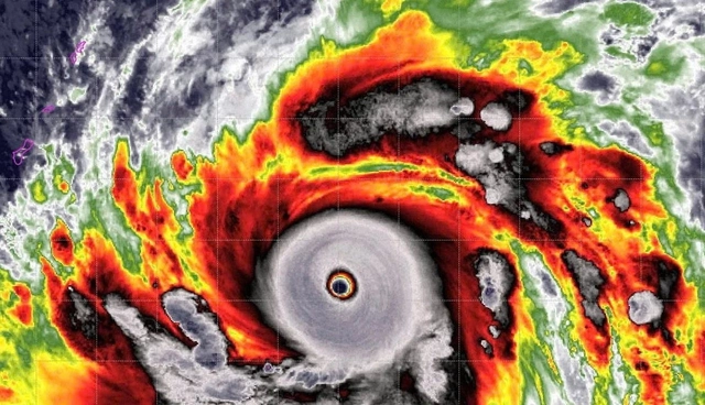
Tối 12/4, bão Sinlaku đang hoạt động ngoài khơi xa của Philippines đã mạnh lên thành siêu bão, trở thành cơn bão mạnh nhất thế giới từ đầu năm 2026.

Theo Trung tâm Dự báo Khí tượng Thuỷ văn Quốc gia, Sinlaku đang là cơn bão mạnh nhất thế giới trong năm 2026, với áp suất trung tâm 920 hPa (tính đến thời điểm hiện tại – tối 12/4 giờ Việt Nam), vượt qua bão Maila ở khu vực Úc với áp suất trung tâm là 924 hPa.

Đây là cơn bão đầu tiên trong năm 2026 đạt cường độ này, đồng thời là lần đầu xuất hiện trong tháng 4 kể từ bão Surigae (2021), và chỉ là lần thứ ba kể từ năm 1977.

Như vậy siêu bão Sinlaku trở thành một trong 03 cơn bão mạnh nhất trong tháng 4 kể từ năm 1977.

Hình thành từ một áp thấp nhiệt đới ngoài khơi xa của Philippines, Sinlaku nhanh chóng trở thành siêu bão chỉ sau hơn 2 ngày nhờ điều kiện vô cùng thuận lợi như nhiệt độ mặt nước biển cao, thông lượng nhiệt từ đại dương dồi dào, độ đứt gió tầng cao yếu.

Ảnh vệ tinh chụp siêu bão Sinlaku tối 12/4 (giờ Việt Nam)

Theo Trung tâm Dự báo Khí tượng Thuỷ văn Quốc gia, bão rất ít khả năng đi vào Biển Đông. Cụ thể, trong đêm 12/4 và ngày 13/4, bão Sinlaku có khả năng di chuyển theo hướng Tây Bắc với tốc độ khoảng 15km/h.

Sau đó, Sinlaku sẽ đổi hướng di chuyển lên phía Bắc, nhiều khả năng tiếp tục đổi hướng một lần nữa thành hướng Bắc Đông Bắc. Khoảng ngày 16-17/4, bão di chuyển tới vùng biển phía Đông của Nhật Bản và cường độ sẽ giảm cấp dần.

Theo các chuyên gia, trong bối cảnh trái đất nóng lên, nguy cơ xuất hiện ngày càng nhiều các siêu bão. Tại Biển Đông năm 2026, số lượng bão có thể không nhiều như một số năm trước nhưng nguy cơ xuất hiện các cơn bão rất mạnh, bất thường khi nhiệt độ mặt biển cao.

TIN CÙNG CHUYÊN MỤC
Xem theo ngày