Núi lửa khổng lồ dưới đáy đại dương dự kiến sẽ phun trào trong năm nay

Chi Chi, Theo baovanhoa.vn 13:37 07/01/2026
Chia sẻ

Nó có thể gây ra những hậu quả gì?

Núi lửa Axial Seamount, một ngọn núi lửa khổng lồ dưới đáy biển bang Oregon, Mỹ có thể sẽ phun trào vào năm 2026.

Một ngọn núi lửa dưới nước khổng lồ nằm cách bờ biển bang Oregon, Hoa Kỳ khoảng 480 km rất có khả năng sẽ phun trào trong năm nay. Trước đó, các chuyên gia từng cảnh báo Axial Seamount, một trong những ngọn núi lửa hoạt động mạnh nhất dưới lòng đại dương, có thể phun trào sớm nhất vào cuối năm 2025, tuy nhiên điều đó đã không xảy ra.

Giờ đây, các nhà khoa học tin rằng ngọn núi lửa này có khả năng sẽ phun trào vào khoảng giữa đến cuối năm 2026. Thực tế, sự kiện này không đáng sợ như bạn tưởng tượng. Axial Seamount nằm trên ranh giới mảng phân kỳ của sườn núi Juan de Fuca và nó đã hoạt động khá mạnh mẽ, từng phun trào vào các năm 1998, 2011 và 2015 theo những gì chúng ta ghi nhận được, mặc dù có thể còn nhiều lần khác nữa.

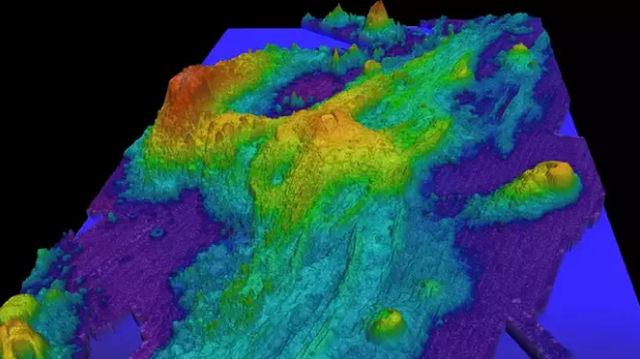
Núi lửa khổng lồ dưới đáy đại dương dự kiến sẽ phun trào trong năm nay- Ảnh 1.

Các chuyên gia cho rằng núi lửa ngầm Axial có khả năng sẽ phun trào trong năm nay. Ảnh: NOAA

Hiện tại, một cộng tác viên nghiên cứu tại Đại học Bang Oregon đã xác nhận rằng Axial đã trải qua một giai đoạn có hoạt động địa chấn cao và mặt đất liên tục bị phồng lên do magma dâng cao bên dưới đáy biển, điều này có nghĩa là một cuộc phun trào đang cận kề. Bill Chadwick, người điều hành một blog về ngọn núi lửa này, chia sẻ với Live Science rằng chúng ta có thể kỳ vọng thấy điều này xảy ra vào nửa sau của năm nay. Mối quan tâm chính của hầu hết mọi người khi nghe tin về một ngọn núi lửa khổng lồ phun trào là liệu nó có gây ra bất kỳ mối đe dọa nào đối với tính mạng con người hay không.

Điều gì thực sự xảy ra khi núi lửa dưới nước phun trào

Mặc dù có nhiều tác động tiềm tàng từ một đợt phun trào núi lửa dưới nước, nhưng rủi ro chính là nguy cơ sụp đổ đáy biển. Khi núi lửa bắt đầu phun trào, dung nham chảy ra từ núi lửa vào đáy biển. Nó nguội đi rất nhanh nhờ nhiệt độ của nước, tạo thành các khối dung nham gối và dòng chảy dạng tấm. Đáng tiếc là đây lại là tin xấu đối với một số sinh vật dưới nước vì chúng có khả năng bị tiêu diệt bởi sức nóng từ các khối dung nham này.

Trong khi đó, nhiệt lượng từ núi lửa thúc đẩy hoạt động tại các miệng thông thủy nhiệt, dẫn đến việc giải phóng một lượng lớn nước nóng giàu khoáng chất, tạo ra các cột khói đen. Mỗi lần núi lửa phun trào, magma dâng lên trong khoang chứa nông bên dưới đáy biển, khiến núi lửa phồng lên và đáy biển bị đẩy ngược lên trên.

Khi một lượng lớn magma đã tràn ra đáy biển, khoang chứa bị bỏ trống và mất đi sự nâng đỡ, khiến miệng núi lửa sụp xuống. Năm 1998, miệng núi lửa đã giảm khoảng 3 mét, năm 2011 giảm 2,4 mét và gần đây nhất là năm 2015 giảm 2,1 mét. Tuy nhiên, nếu toàn bộ ngọn núi lửa bị sụt xuống, nó có khả năng gây ra một vụ sụp đổ sườn thảm khốc, trong đó các cạnh của núi lửa bị sụp đổ vào bên trong.

Núi lửa khổng lồ dưới đáy đại dương dự kiến sẽ phun trào trong năm nay- Ảnh 2.

Rủi ro đối với tính mạng con người

Nếu các sườn của Axial Seamount sụp đổ vào trong, nó có thể gây ra những hậu quả thảm khốc dưới dạng sóng thần, mặc dù khả năng này rất thấp. Tóm lại, ngọn núi lửa dưới nước này có phải là mối đe dọa đối với chúng ta không? Câu trả lời rất có thể là không. Trừ khi Axial trở nên không ổn định và xảy ra sụp đổ sườn, nó không được cho là có bất kỳ mối nguy hiểm tiềm tàng nào đối với tính mạng con người.

Theo Ladbible

TIN CÙNG CHUYÊN MỤC
Xem theo ngày